



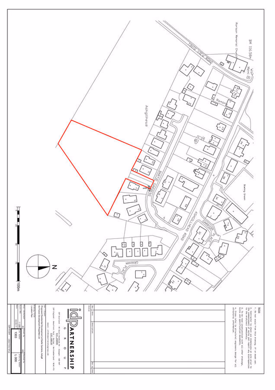
1.83-Acre Field Land for Sale in North Lanarkshire
Jane Buchan (ex 216) of Keller Williams Scotland is delighted to present this exceptional **residential development site** in the desirable South Lanarkshire village of **Ashgill**, near Larkhall
1.83-Acre Field Land for Sale in North Lanarkshire
Description
Jane Buchan (ex 216) of Keller Williams Scotland is delighted to present this exceptional **residential development site** in the desirable South Lanarkshire village of **Ashgill**, near Larkhall
Contact Agent
Smart Picks — Professionals Relevant to This Land
Based on this property's key features, here are the specialists you may want to consult as part of your due diligence: land agents, rics surveyors and rural solicitors.

Land Agents
Essential for navigating the land market, finding buyers, and securing the best price.

RICS Surveyors
High-value property (£900K+) requires professional valuation for accurate pricing and due diligence.

Rural Solicitors
Significant investment (£900K+) requires legal expertise for conveyancing, title checks, and transaction security.
Location
ML9