




Plot for sale
An excellent opportunity to acquire a residential development site with the benefit of detailed planning consent for the erection of 4no. detached dwellings.
Plot for sale
Description
An excellent opportunity to acquire a residential development site with the benefit of detailed planning consent for the erection of 4no. detached dwellings.
Contact Agent
Smart Picks — Professionals Relevant to This Land
Based on this property's key features, here are the specialists you may want to consult as part of your due diligence: land agents, rics surveyors, rural solicitors and planning consultants.

Land Agents
Essential for navigating the land market, finding buyers, and securing the best price.

RICS Surveyors
High-value property (£500K+) requires professional valuation for accurate pricing and due diligence.

Rural Solicitors
Significant investment (£500K+) requires legal expertise for conveyancing, title checks, and transaction security.

Planning Consultants
Planning-sensitive site needs expert guidance for applications and development strategy.
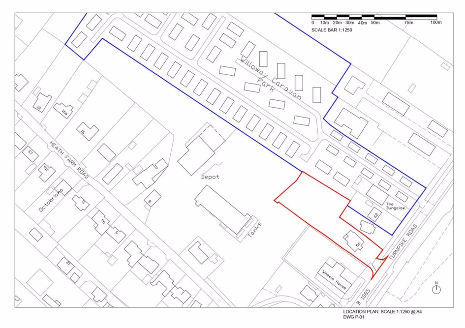
Location
Land at Turnpike Road