



1.0-Acre Field Land for Sale in Surrey
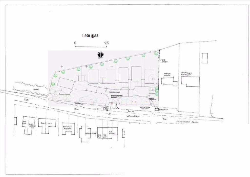
Prime Residential Development Opportunity – Bucks Green Pig Farm, Rudgwick, West Sussex RH12 3JJAn exciting opportunity to acquire a well-positioned development site in the heart of West Sussex, located in the sought-after semi-rural hamlet of Bucks Green, within the parish of Rudgwick.
1.0-Acre Field Land for Sale in Surrey
Description
Prime Residential Development Opportunity – Bucks Green Pig Farm, Rudgwick, West Sussex RH12 3JJAn exciting opportunity to acquire a well-positioned development site in the heart of West Sussex, located in the sought-after semi-rural hamlet of Bucks Green, within the parish of Rudgwick.
Contact Agent
Smart Picks — Professionals Relevant to This Land
Based on this property's key features, here are the specialists you may want to consult as part of your due diligence: land agents, rics surveyors and rural solicitors.

Land Agents
Essential for navigating the land market, finding buyers, and securing the best price.

RICS Surveyors
High-value property (£1700K+) requires professional valuation for accurate pricing and due diligence.

Rural Solicitors
Significant investment (£1700K+) requires legal expertise for conveyancing, title checks, and transaction security.
Location
RH12